Душ і мило в допомогу: що робити, якщо вазони обсіла попелиця

Сад і город

Марія Дума

Редакторка стрічки новин

Ми розповідали, що додати у воду для поливу, щоб домашні рослини квітли. Але, окрім приємних моментів, таких як цвітіння, на садівника чекають і неприємні - такі, як боротьба зі шкідниками.

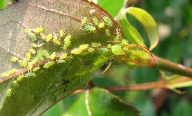
Один із найпоширеніших шкідників -  попелиця. Детально про те, як із нею боротися, розповідаємо разом із ProstoWay.

ДІЗНАЙТЕСЬ БІЛЬШЕ:

Якщо ви помітили шкідника на поверхні, слід одразу діяти. Перш за все ретельно помийте  рослини під душем. Весь наліт потрібно змити водою. Таким чином можна змити з рослини до 80% шкідників.

Після цього уражені комахою рослини слід покропити мильним розчином. Приготувати його нескладно - у 6 л води розчиняємо 20 г натертого господарського мила. Також можна використовувати рідке мило. Але обробляти ним рослини слід обережно - так, щоб розчин не потрапив у ґрунт.

Рослини, уражені попелицею, також можна обробити настоєм часнику. Треба 3 зубки часнику подрібнити чи пропустити через прес, а потім - залити 1 л теплої води. Після цього розчин проціджуємо й кропимо рослину.

Ураженим квітам мало однієї обробки, і до цього слід бути готовим. Робити це треба кілька разів з перервою 3-5 днів.

ДІЗНАЙТЕСЬ БІЛЬШЕ:

Це повністю знищить комаху-шкідника. Також ми розповідали, як правильно пересадити орхідею.